技术领域:资环技术
技术描述:(一)技术基本情况 斜纹夜蛾在我国各地大发生的频率表明该虫已上升为一种多发性农业大害虫,在华东各省几乎年年暴发。海南省地...
技术领域:种植业-粮油作物
技术描述:(一)技术基本情况 水稻秸秆还田可改善土壤理化性能及蓄水能力,减轻环境污染,提高作物产量。针对联合收获后水稻整株或高茬秸...
技术领域:资环技术
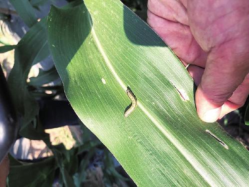
技术描述:(一)技术基本情况。 草地贪夜蛾Spodoptera frugiperda(J. E. Sm-ith),又称秋黏虫、伪粘...
技术领域:种植业-粮油作物
技术描述:(一)技术基本情况 近年来,气候变化导致寒地水稻主产区阶段性低温冷害及其他灾害频发,造成水稻插秧返青期死苗、分蘖期群体生...
技术领域:资环技术
技术描述:(一)技术基本情况 当前,我国耕地土壤污染形势总体不容乐观,特别是重金属污染已对部分地区农产品质量安全构成严重威胁。海南...
技术领域:种植业-粮油作物
技术描述:(一)技术基本情况 针对东北地区耕作方式单一,耕层浅、实、硬,秸秆全量还田难度大,秋季耕整地作业时间短,秋整地作业紧张等...
技术领域:资环技术
技术描述:(一)技术基本情况 海南夏秋季高温多雨,露天种菜时,暴雨会打伤菜苗,并将带菌泥水溅到菜苗上,造成烂菜。以往的措施主要是建...
技术领域:种植业-粮油作物
技术描述:(一)技术基本情况 在黑龙江省三江平原地区,由于春季低温低、易涝等生产问题,通过提温、扩库、促早等技术,实现水热资源优化...